When I heard the prompt for this week, a topic came to mind immediately. In 1932, my Papa and Grandma Tapley (Lusion Keman Tapley, 1870-1935 and Nealie Drake Tapley, 1895-1970) lost their property in the Great Depression. It was a disaster in their world... and they never recovered from it.
On November 26, 1894, Papa purchased 147 acres of land in the 55th G.M. of Johnson County from R.L. Tapley. I believe that was his uncle, Robert L. Tapley. This land was located kind of "behind" his parents' land, in the Fortner Pond area.
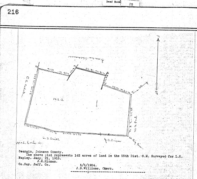
Here is a plat for the land when Papa had it surveyed in 1915:
On April 5, 1906, Papa paid $500 to J.M. Tapley for 58 acres of land in the 1326th G.M. of Johnson County. J.M. was Lusion's father, James (Jim) Madison Tapley. From what I was always told, Jim did that for all of his children - sold (gave) them a piece of property off their homestead.

Papa was a farmer. He had a total of 10 children. That was a lot of mouths to feed and a lot of feet to keep shoes on. Farming is hard work and is has many bad years to withstand. While, I don't know the exact reasons why Papa and Grandma borrowed money on their land, I am sure it was to keep the family afloat.
So on May 17, 1924, they took out a mortgage on both plots of land for $1,000. The semi-annual payments were to be $32.50 made payable on April 1 and October 1 of each year for sixty-five annual payments. (Now there is a lot of fine print in the note that I don't quite understand, but I hope I've shared the gist of it.)
Five years later, in 1929, the stock market crashed. Shortly after that, the country fell into the Great Depression. It was not over officially until 1933, but I'm sure the effects lingered until World War II. It had clearly been a tough time for my grandparents because they got behind on their mortgage payments, and on March 1, 1932, the bank foreclosed, and their property, their livelihood, their home was sold on the courthouse steps to satisfy their debt.
I cannot even imagine how humiliating and sad that was for this family. At the time they had probably six children still at home - ages from 17 down to 3. Not only did they have to find somewhere to live, they had to find new jobs... because they no longer had their farm.
According to his death certificate, Papa never worked again after that. The family moved to Wadley, and Papa died there on July 3, 1935. He was sick near the end of his life, but it has never been clear what the ailment was. His death certificate is quite readable except for the cause of death. I can only make out "Heart" something. I remember my father telling a story about how one of his cousins would come take Papa for a ride in the car every now and again to cheer him up. Did he die of a broken heart? Very possible, I believe.
As far as my Grandma Nealie, she had a tough life. When Papa died, she was 39 years old with about 4 children left to raise. There may have been more that were over 18 still living at home. She had to go to work. She did a little bit of everything. She took in laundry or sewing, she sharecropped, she worked at the phone company in Kite. She never owned her own home again; she rented and then when she got older, she lived with her son, Russ, and, after his death, in a public housing apartment in Augusta.
It's not that she didn't have family support and love. She did. But they didn't have money to share. However, Grandma Nealie had a strong faith in God. I am sure that her faith and devotion is what got her through the hard times. I was told that when the family was living in Wadley, she would drive a horse and buggy almost 10 miles to get to Powell's Chapel Church to play the organ every Sunday. She wanted to give back, no matter how little she had.
This disaster in their lives had far-reaching effects throughout the next generations. The children did not stay in Johnson County and moved away. The grandchildren did not know Johnson County or the life their parents and grandparents led there. The losing of their home forever changed the trajectory and tapestry of the Tapley family.







No comments:
Post a Comment